|
|

|
|
¹ö¼¸ÆÄ¸® ÇÇÇØ ¿¹¹æÀº À¯ÀÔ Â÷´ÜÀÌ Áß¿ä
|
|
µµ ³ó±â¿ø, Àç¹è»ç ÃâÀÔ?ȯ±â±¸¿¡ 0.5§®ÀÌÇÏ ¹æÃæ¸Á ¼³Ä¡ ´çºÎ
|
|
2017³â 08¿ù 28ÀÏ(¿ù) 12:14 [(ÁÖ)¿Â¾ç½Å¹®»ç] 
|
|
|
| 
| | ¨Ï ¿Â¾ç½Å¹® | | Ãæ³²µµ ³ó¾÷±â¼ú¿øÀº ÃÖ±Ù ¹ß»ýÀÌ ±Þ°ÝÈ÷ Áõ°¡Çϰí ÀÖ´Â ¹ö¼¸ÆÄ¸®°¡ 9¿ù Áß¼øÀ» ÀüÈÄ·Î ÃÖ°íÁ¶¿¡ ´ÞÇÒ °ÍÀ¸·Î ¿¹»óµÊ¿¡ µû¶ó ÇÇÇØ ¿¹¹æÀ» À§ÇØ Àû±ØÀûÀÎ ¿¹¹æ°ü¸®¸¦ ´çºÎÇß´Ù.
µµ ³ó¾÷±â¼ú¿ø¿¡ µû¸£¸é, ¿ÃÇØ 8¿ù Áß¼øÀÇ ¹ö¼¸ÆÄ¸® ¼ºÃæ¹Ðµµ´Â 150¡¿250§® ÆòÆÇÆ®·¦ ´ç 376¸¶¸®·Î, Àü¿ù¿¡ ºñÇØ 17%°¡ Áõ°¡ÇÑ °ÍÀ¸·Î ÆÄ¾ÇµÆ´Ù.
ƯÈ÷ ¹ö¼¸ÆÄ¸®ÀÇ ¹ø½Ä¿¡ À¯¸®ÇÑ ¿Â¡¤½Àµµ Á¶°ÇÀÎ 9¿ù Áß¼ø°æ¿¡´Â ÀÌ¿Í °°Àº Áõ°¡Ãß¼¼°¡ ÀýÁ¤¿¡ ´ÞÇØ 10¿ù±îÁö À̾îÁö¸é¼ ¼öÈ®±â¸¦ ¾Õ µÐ ³ó°¡¿¡¼ ÇÇÇØ°¡ È®»êµÉ °ÍÀ¸·Î Àü¸ÁµÈ´Ù.
µµ³» ¾ç¼ÛÀÌ Àç¹è³ó°¡¿¡ °¡Àå Å« ÇÇÇØ¸¦ ÁÖ°í ÀÖ´Â ±ä¼ö¿°¹ö¼¸ÆÄ¸®ÀÇ °æ¿ì ¹ö¼¸ÆÄ¸® ¾ÏÄÆ ÇÑ ¸¶¸®°¡ ÇÑ ¹ø »ê¶õÇÏ¸é ¾à 100¿©°³ÀÇ ¾ËÀ» ³ºÀ» ¼ö ÀÖ°í 20µµ ¿ÂµµÁ¶°Ç¿¡¼ ¾Ë¿¡¼ ¼ºÃæÀÌ µÇ±â±îÁöÀÇ ±â°£ÀÌ 25ÀÏ¿¡ ºÒ°úÇÏ´Ù.
¾ç¼ÛÀÌ Àç¹è³ó°¡¿¡¼ÀÇ ¹ö¼¸ÆÄ¸® ¹ß»ýÀº Á¾±Õ Á¢Á¾ÀÌÈÄ ±Õ¹è¾ç ±â°£ µ¶Æ¯ÇÑ ³¿»õ¿¡ À̲ø·Á Àç¹è»ç³»·Î µé¾î¿À°Ô µÇ´Âµ¥ ±× ¶§ºÎÅÍ ¹ö¼¸ÆÄ¸® ¹Ðµµ°¡ Áõ°¡ÇÏ¸é¼ À¯Ãæ°ú ¼ºÃæ¿¡ ÀÇÇØ ÇÇÇØ°¡ ±Þ¼ÓÈ÷ Áõ°¡Çϱ⠽ÃÀÛÇÑ´Ù.
µû¶ó¼ Á¾±ÕÁ¢Á¾ ÈĺÎÅÍ 3¡4ÁÖ¿¡ °ÉÃÄ À¯ÀÔµÈ ¹ö¼¸ÆÄ¸®¿¡ ÀÇÇÑ ÇÇÇØ°¡ °¡Àå Å©°Ô ³ªÅ¸³ª¹Ç·Î Ãʱ⿡ Àû±ØÀûÀÎ ´ëÀÀÀÌ ÇÊ¿äÇÏ´Ù.
´Ù¸¸, µµ³» Àç¹è³ó°¡ÀÇ ´ëºÎºÐ ¹æÃæ¸ÁÀÌ ¼³Ä¡µÅ ÀÖÁö ¾ÊÀºµ¥´Ù, ÀϺΠ¼³Ä¡µÈ ³ó°¡´Â ´«±ÝÀÇ Å©±â°¡ 18¡22mesh·Î ¸öü°¡ ÀÛ°í ³¯·ÆÇÑ ¹ö¼¸ÆÄ¸®¿¡ ´ëÇÑ ¹æÃæÈ¿°ú¸¦ ±â´ëÇϱâ Èûµç ½ÇÁ¤ÀÌ´Ù.
ÀÌ¿¡ ¹ö¼¸ÆÄ¸®·Î ÀÎÇÑ ÇÇÇØ¸¦ ¿¹¹æÇϱâ À§Çؼ´Â Àç¹è»çÀÇ ÃâÀÔ±¸¿Í ȯ±ââ µî ¹ö¼¸ÆÄ¸®ÀÇ À¯ÀÔÀÌ °¡´ÉÇÑ ¸ðµç °÷¿¡ 34mesh(0.5§®)ÀÌÇÏÀÇ ¸Å¿ì ÃÎÃÎÇÑ ¹æÃæ¸ÁÀ» ¼³Ä¡ÇØ À¯ÀÔÀ» ¿øÃµÀûÀ¸·Î ¸·´Â °ÍÀÌ °¡Àå Áß¿äÇÏ´Ù.
| 
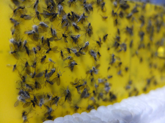
| | ¡è¡è ¹ö¼¸ÆÄ¸® Æ®·¦ | ¨Ï ¿Â¾ç½Å¹® | | µµ ³ó¾÷±â¼ú¿ø ÀÛ¹°¿¬±¸°ú À̺´ÁÖ ¹ö¼¸ÆÀÀåÀº ¡°¹ö¼¸ÆÄ¸®´Â ¹ö¼¸À» Á÷Á¢ °¡ÇØÇϰí ÇÇÇØ ÈçÀûÀ» ³²±â±â ¶§¹®¿¡ ¼öÈ®·®ÀÌ ¾à 20% ÀÌ»ó °¨¼ÒÇÏ´Â ¿øÀÎÀÌ µÈ´Ù¡±¸ç ¡°¼ºÃæÀº º´¿ø¼º ¼¼±ÕÀ̳ª °õÆÎÀ̸¦ ¿Å±â´Â ¸Å°³ÃæÀ¸·Î 2Â÷ÀûÀÎ ÇÇÇØ¸¦ ÀÏÀ¸Å°±â ¶§¹®¿¡ ¹æÃæ¸Á ¼³Ä¡¿Í Á¡°ËÀ» ¹Ù¶õ´Ù¡±°í ¸»Çß´Ù.
|
|
|
|
¿Â¾ç½Å¹®»ç ±âÀÚ ionyang@hanmail.net ¡°Áö¿ªÁ¤½Å ¿Â¾ç½Å¹®¡± - Copyrights ¨Ï(ÁÖ)¿Â¾ç½Å¹®»ç.
¹«´Ü ÀüÀç ¹× Àç¹èÆ÷ ±ÝÁö -
|
|
|
|
(ÁÖ)¿Â¾ç½Å¹®»ç
±â»ç¸ñ·Ï | ±â»çÁ¦°ø : (ÁÖ)¿Â¾ç½Å¹®»ç
|
|
|
|
|
|
|
|
|
|
|
|

|
|
|
|
ÃÖ±Ù±â»ç
|
|
|
|
|
À̼ø½Å ¼º¿õÀÇ ±â°³, °úÇÐÀ¸·Î ÀÕ..
|
|
¾Æ»ê½ÃÀ°¾ÆÁ¾ÇÕÁö¿ø¼¾ÅÍ, ¡®À°¾Æ..
|
|
°Ç¼³°æ±â ħü ´ëÀÀ¡¦Àü¹®°Ç¼³¾÷..
|
|
¾Æ»ê½Ã, AI ÇàÁ¤Çõ½Å TF °¡µ¿¡¦¾÷..
|
|
¼º¿õ À̼ø½ÅÃàÁ¦ ´ëºñ ¡®ÀûÄ¡¾²·¹..
|
|
¾Æ»ê½Ã, ¡°¹ß´ÞÀå¾ÖÀÎÀÇ ÇÏ·ç°¡ ..
|
|
¾Æ»ê¿¡¼ Áñ±â´Â Àι®ÇÐ ¿©Çà
|
|
¾Æ»ê½Ã»õ¸¶À»È¸, ¿¡³ÊÁö Àý¾àºÎÅÍ..
|
|
¿Â¾ç4µ¿ ÁÖ¹ÎÀÚġȸ, ½Ç¿Á±³ ³°£..
|
|
ÀÎÁÖ¸é, À̼ø½ÅÃàÁ¦ ¾ÕµÎ°í 4¿ù ..
|
|
¿Â¾ç5µ¿ ÃÊ»ç1Åë, ÄèÀûÇÑ ÁÖ°Åȯ..
|
|
°¡Á· Âü¿©Çü ¹Ìµð¾î °úÀÇÁ¸ ¿¹¹æ ..
|
|
½Ã¼³°ü¸®°ø´Ü, Â÷º° ¾øÀÌ ÀÌ¿ëÇÒ ..
|
|
½Ã¼³°ü¸®°ø´Ü, ¾ÈÀü ÀÇ½Ä °íÃë ¹×..
|
|
À̸í¼ö ¿¹ºñÈĺ¸, Ãæ³²±³À°ÇöÀå ..
|
|
¾Æ»ê°í, ¶ß°Å¿î °ü½É ¼Ó¿¡ ÁøÇÐ ..
|
|
À̱â¾Ö¡¤ÀÌÀ±±¸¡¤À±¿øÁØ¡¤Àü³²¼ö..
|
|
Ãæ³²¾Æ»ê, â´Ü ù ½ºÆä¼È À¯´ÏÆû..
|
|
2026³â Àå¾ÖÀÎÀÇ ³¯ ¸Â¾Æ ¹ß´ÞÀå..
|
|
NH³óÇùÀºÇà ¾Æ»ê½ÃÁöºÎ, ÇϳªÀºÇà..
|
|
|